Haiti Crisis

In Haiti, escalating violence, frequent natural disasters and cuts to international humanitarian aid have left at-risk communities more vulnerable than ever. Through grants to local partners in the country, UMCOR is continuing to provide women, children and families with health care, counseling services, food and shelter needs, and more.
Ukraine War

Since the February 2022 invasion of Ukraine by Russian forces, UMCOR has acted on behalf of The United Methodist Church to provide aid and assistance. Grants for immediate relief have been given to trusted partners – United Methodist churches in surrounding countries, ecumenical partners and non-governmental organizations – to provide direct aid inside Ukraine as […]
New York Blizzard

Over the Christmas weekend, Western New York experienced a devastating blizzard. This tragic storm buried the city of Buffalo in over 50 inches of snow and was accompanied by a -30-degree wind chill and 80 mph winds. The disaster took at least 39 lives. UMCOR awarded a solidarity grant to the Upper New York Conference […]
California Flooding and Landslides

Beginning in mid-December 2022 and continuing into mid-January 2023, California experienced a continuous series of rainstorms (frequently referred to as “atmospheric rivers”). This comes on top of wildfire damage from the last few years for many areas. As a result, California has had an extensive number of floods, mudslides, landslides and other related damage. UMCOR […]
Southeastern U.S. Tornadoes

In late November, Louisiana, Mississippi and Alabama experienced severe weather and dangerous tornado activity. In Eutaw and Montgomery, Alabama, homes and businesses saw structural damage. UMCOR awarded a solidarity grant to the Alabama-West Florida Conference to support families and communities in need of immediate assistance.
Hurricane Nicole

Hurricane Nicole made landfall in Florida on November 10 with sustained winds of 75 mph, giving the state two landfalling hurricanes (along with Ian) in one year for the first time since 2005. In response to the needs of survivors in multiple coastal communities, UMCOR awarded a solidarity grant to the Florida Conference to support […]
Tropical Storm Nalgae

Tropical Storm Nalgae (local name Paeng) made landfall on October 29. More than 4 million people were affected in all 17 regions of the country. Tropical Storm Nalgae brought major flooding, landslides and falling of trees. UMCOR awarded solidarity grants to support the efforts of disaster management offices in the Manila, Davao and Baguio Episcopal […]
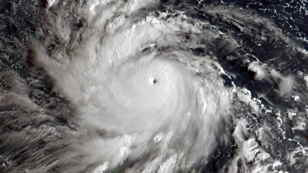
Hurricane Ian

Hurricane Ian came through western Cuba to make landfall in Florida as a catastrophic category 4 storm on September 28. Whole cities and communities were devastated in Florida and the storm continued to bring heavy rain, wind and flooding up the east coast of the U.S., affecting numerous states. The Florida Annual Conference received a […]
Super Typhoon Noru/Karding

The storm changed from a tropical storm to a super typhoon in less than 24 hours as it swept through Central Luzon on September 25 and 26. The typhoon caused floods and damaged houses and roads, tore down power lines, destroyed trees and devastated crops. UMCOR awarded a solidarity grant to the Manila Episcopal Area […]
Georgia Flooding

Flash flooding brought severe damage to Chattooga and Floyd Counties in Georgia in early September. UMCOR awarded a solidarity grant to the North Georgia Conference to assist in local relief efforts.